Încă un spaţiu verde din Constanţa înghiţit de construcţii. Familia Bucovală vrea o investiţie complexă lângă Palatul de Justiţie
Încă un spaţiu verde din Constanţa înghiţit de construcţii. Familia Bucovală vrea o investiţie complexă
07 Apr, 2016 00:00
ZIUA de Constanta
6394
Marime text
6394
Marime text

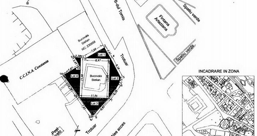
Ieri a început însă împrejmuirea terenului. Proprietarii acelei bucăţi de pâmânt sunt Enache şi Stelian Bucovală, detinatorii Bueno Comp SRL (pe care funcţionează restaurantul Bueno). Aceştia au cumpărat în anul 2012 un teren de 134 de metri pentru a-şi completa proprietatea. Pentru acest lot există un PUZ întocmit la nivelul anului 2003.
Potrivit unuia dintre proprietari, Enache Bucovală, memntan terenul a fost îngrădit pentru ca cei de la Muzeul de Istorie Naţională şi Arheologie Constanţa să poată face săpături acolo pentru descărcare arheologică.
„Deocamdată, cei de la Muzeu fac descărcarea arheologică a terenului. Nu ştim cat va dura, nu ştim ce vor găsi. Aşadar, momentan, nu ştim ce vom face acolo. Nu am iniţiat un nou Plan Urbanistic Zonal pentru a studia acea zonă. PUZ-ul Peninsulei, din câte ştiu, este în lucru“, a declarat pentru ZIUA de Constanţa Enache Bucovală.
„Avem un contract cu proprietarii terenului pentru cercetări arheologice. Noi vom solicita autorizaţie de la Ministerul Culturii pentru lucrări de cercetare arheologică. Nu putem estima cât timp vor dura lucrările de descărcare arheologică. Este ca o loterie. E mijlocul oraşului arheologic“, a declarat, pentru cotidianul ZIUA de Constanţa, Gabriel Custurea, directorul Muzeului Naţional de Istorie şi Arheologie Constanţa.
La finele anului trecut, patronii restaurantului Bueno obţineau de la Primăria Constanţa un certificat de urbanism eliberat pentru elaborarea unui Plan Urbanistic de Detaliu pentru construirea unui imobil P+4E – de birouri pentru organizaţii neguvernamentale şi alimentaţie publică în suprafaţă de maxim 5% din aria construită desfăşurată. Urbaniştii au decis însă că actul nu poate fi folosit pentru ridicarea unei clădiri cu opt etaje deoarece nu se încadrează în reglementările urbanistice aprobate privind regimul de înălţime“. Astfel că proprietarii pot să iniţieze un Plan Urbansitic de Detaliu, sau pot aştepta ca municipalitatea să elaboreze PUZ-ul peninsulei.
Urmareste-ne pe Grupul de Whatsapp
Comentarii
Fondul Documentar Dobrogea de ieri și de azi


